It’s been a while since a story not about Donald Trump has made me scream out loud, but dear god, this one sure did.
According to the Polk County Sheriff’s Office, 51-year-old Walter Frymire was arrested after deputies received a call regarding a naked man inside a bathroom at a public park.
Sheriff Grady Judd said once deputies arrived on the scene, they found Frymire with all of his clothes on, and trespassed him from the park.
“We’re nice. We send him out of the park, and trespass him, and tell him we’re not going to arrest you even though people saw you here without any clothes on. We’re going to give you a break,” Sheriff Judd said.
That break didn’t last long, as Frymire was soon caught trespassing on other property nearby and arrested. According to the sheriff, Frymire was found to be in possession of meth at that point. Meth, and something else that meth could probably at least partially explain.
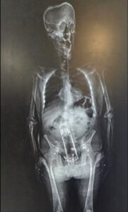
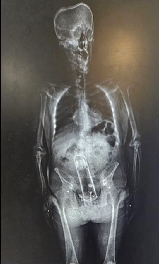
Sheriff Judd said Frymire was put through an X-ray scan to check for firearms and drugs, which led to a startling discovery.
“He brought a Thermus into the jail. That’s right. He put it up the exit ramp. You know what I mean?” Sheriff Judd says in the video while displaying a beverage container. “No, it wasn’t this one.”“He said, ‘well, I put that inside my body.’ And he didn’t swallow it 24 hours earlier.”

I ran that photo through one of those AI image describers hoping that it could help me with some good alt text or otherwise give me some kind of inspiration for where to take this post other than the obvious places, such as the hospital to which Frymire had to be taken in order to undergo a removal procedure. He’ll be ok, best I can tell.
But anyway, I asked the thing twice, and it swears that what’s stuck in there appears to be a mobile phone. I’ve used plenty of thermoses and mobile phones in my time, and I’ve never seen one that looks like the other. So how smart is this AI stuff, really? Like you’re seriously going to tell me that they train these models by sweeping up the entire contents of the internet and yet none of them are experts in what’s up someone’s ass? That’s literally what half the internet exists for. Colour me unimpressed. With the AI, at least. I find myself strangely awed by Mr. Frymire.